কনটেন্টটি শেষ হাল-নাগাদ করা হয়েছে: শুক্রবার, ২৬ সেপ্টেম্বর, ২০২৫ এ ০৬:০১ AM
কন্টেন্ট: পাতা
| তথ্যঃ | |
| প্রকল্পের অবস্থান | কোম্পানীগঞ্জ, সিলেট |
| শহর থেকে ২২ কিঃ মিঃ উত্তরে | |
| বিমান বন্দর থেকে ১৮ কিঃ মিঃ উত্তরে | |
| ঢাকা থেকে ভ্রমনের সময়
| সড়ক পথে ৬ ঘন্টা |
| রেল পথে ৬ ঘন্টা | |
| আকাশ পথে ৩০ মিনিট | |
| ভাড়ার হারঃ | |
| জমির ভাড়ার হার | ১.৫ ইউএসডলার প্রতি বর্গমিটার/প্রতি বছর |
| স্পেস ভাড়ার হার | ভাড়া ৬ টাকা + সার্ভিস চার্জ ৫ টাকা প্রতি বর্গফুট/প্রতি মাস |
|
|
|
| বরাদ্দযোগ্য স্পেস/জমি |
|
| মোট জমির পরিমান | ১৭১.০৭ একর ৩১০৭৭ বর্গফুট |
| বরাদ্দযোগ্য জমির পরিমান | ১২০ একর ২১৫৭৬ বর্গফুট |
| বরাদ্দকৃত জমির পরিমান (চুক্তি অনুযায়ী) | ৪৩.৭৮২৫ একর ১৬১৮২ বর্গফুট |
| অবশিষ্ট জমি | ৭৬.২১৭৫ একর ৫৩৯৪ বর্গফুট |
| মোট বিনিয়োগকারী প্রতিষ্ঠানের সংখ্যা | ১২টি প্রতিষ্ঠান |
| সর্বমোট স্পেস | ১২১০০ বর্গফুট |
| বরাদ্দযোগ্য স্পেস | ৭৭৫৩ বর্গফুট |
| বর্তমানে বরাদ্দকৃত স্পেস | ৬১২৪ বর্গফুট |
| বর্তমানে খালি স্পেস | ১৬২৯ বর্গফুট |
প্রকল্প উদ্বোধন:
১২ ডিসেম্বর ২০২১ তারিখে মাননীয় প্রধানমন্ত্রী কর্তৃক প্রকল্প উদ্বোধন করা হয়েছে।
চুক্তি সম্পাদনকারী প্রতিষ্ঠানের তালিকাঃ (জমি)
৮ টি কোম্পানীকে মোট ৪৩.৭৯৮৯ একর জমি বরাদ্দ (চুক্তি সম্পাদিত) প্রদান করা হয়েছে।
| ক্র.নং | কোমপানীর নাম | মালিকের নাম, | ঠিকানা | মোবাইল নাম্বার | বরাদ্দের পরিমান | ই-মেইল |
| ১ | র্যাংস ইলেকট্রনিক্স লিমিডেট | একরামুল হোসাইন, ব্যাবস্থাপনা পরিচালক
| সোনারতরি টাওয়ার, ৪র্থ এবং ৫ম ফ্লোর, ১২ সোনারগাঁ রোড, ঢাকা-১০০০। | টেলিফোন: ৯৬৬৩৫৫১-৩ মোবাইল: ০১৯৮৪-৪৮৮-৩৩০ | ৩২ একর জমি | Mail: rafiqul.islam@rangs.com.bd Web: www.rangs.com.bd |
| ২ | রহমানিয়া সুপার মার্কেট | সৈয়দ মহসিন আহমেদ | সৈয়দপুর হাউজ শাহি ঈদগাঁও, সিলেট | মোবাইল: ০১৭১১৩২৫০২৬, | ১ একর জমি | Mail: mohshin_adv@hotmail.com |
| ৩ | টুগেদার আইটি ইন্ডাস্ট্রিজ লিঃ | জনাব ইমতিয়াজুল হক ভুইয়াঁ ব্যবস্থাপনা পরিচালক | হাউজ#১১, রোড#১২১, ফ্ল্যাট#৬এ, গুলশান-১, ঢাকা
| মোবাইল ০১৮৪৬-৭২৯৮৯৯, ০১৭১৮-০৮২২৩৬ | ১ একর জমি | imtiazul1020@gmail.com |
| ৪ | ইএলবি | হেলাল উদ্দিন আহমেদ
| অষ্ট্রাল ২য় তলা, ২৩৩,বড় মগবাজার, ঢাকা-১২১৭ | ০১৩০০-৪১৬৪৪৪ | ১ একর জমি | Suparna0410@gmail.com |
| ৫ | ইনোটেক হোল্ডিংস | শামীম আহমেদ, প্রোপ্রাইটর অল কাইন্ড অফ লাইম স্টোর এক্সপোর্ট এবং ইমপোর্ট | ঠিকানা: ১০ , পারুয়া, ভোলাগঞ্জ, কোম্পনীগঞ্জ, সিলেট। | মোবাইল: ০১৭০৩৫৬৯৯০৯, ০১৭১৯২৩৪৭৬৬ | ৩.৪২ একর জমি | Mail: nuhusuhan16@gmail.com |
| ৬ | আইরিশ ইলেক্ট্রনিক্স লিমিটেড | মোঃ সাদিকুল ইসলাম খান চেয়ারম্যান | স্টার সেন্টার (৪র্থ তলা), প্লট-০২, রোড-১৩৮, গুলশান-১, ঢাকা-১২১২ | মোবাইল: ০১৭৪৬-১২৭৯৫০ | ১.০৮৯৯৮ একর | Mail: sadekmkhan@yahoo.com |
| ৭ | এডিএন টেলিকম লিমিটেড | জনাব হেনরি হিলটন ব্যবস্থাপনা পরিচালক | রেড ক্রিসেন্ট কনকর্ড টাওয়ার, ১৯ তলা, ১৭ মহাখালী, ঢাকা-১২১২। | মোবাইল: ০১৭৭৭৭৭০১০২
| ১.৭৫ একর | www.adntel.com.bd info@adnsl.net investor.relations@adnsl.net henry.hilton@adn.tel.com.bd |
| ৮ | বঙ্গ টেকনোলজি লিমিটেড | শাহ মো. বাহাদুর আলম ব্যবস্থাপনা পরিচালক এন্ড সিইও | হাউজ-৬৯, (ফ্ল্যাট এ/৩, ৩য় ফ্লোর, উত্তর সাইড) রোড-৭, সেক্টর-৪, উত্তরা, ঢাকা-১২৩০। | মোবাইল: ০১৩২২৮১৩৫৫১ | ১ একর ৪ শতাংশ/ ৪২৩৭ বর্গমিটার | মেইল: alam@bongoiot.com |
স্পেস বরাদ প্রদানকৃত প্রতিষ্ঠানের তালিকা (চুক্তি সম্পাদিত) ঃ
মোট ০৩ টি কোম্পানীকে ৯০১০ স্কয়ারফিট স্পেস বরাদ্দ প্রদান করা হয়েছে (চুক্তি সম্পাদিত)
| ক্র.নং | কোমপানীর নাম | মালিকের নাম | ঠিকানা | মোবাইল নাম্বার | বরাদ্দের পরিমান | ই-মেইল |
| ১ | Bahon Ecomobile Limited | d. Nur-a-alam Khandker Managing Director | 26 Shyamoli, Bir Uttam A.W, Chowdhury Road (Mirpur Road) Dhaka-1207, Bangladesh. | 01322813551
| 2922 sft | মেইল: kmnalam@bahon.io |
| ২ | Computer Science & Engineering Department | Professor Dr. M. Johirul Islam, Head of the Department | Shahjalal Science & Technology University, Sylhet | 01770348185 | 3828 sft | মেইল: cse@sust.edu |
| ৩ | M/S Abdul Basir Enterprise | Esha Muhammad Hasan | Parua Mazpara, Companigonj, Sylhet | 01712-476123, 01712-051489 | 2260.40 sft space |
![]() | ![]() |
![]() | ![]() |
| সনি র্যাংস ইলেকট্রনিক্স লিমিডেট এর ফ্যাক্টরী নির্মাণ কাজের অগ্রগতি | |

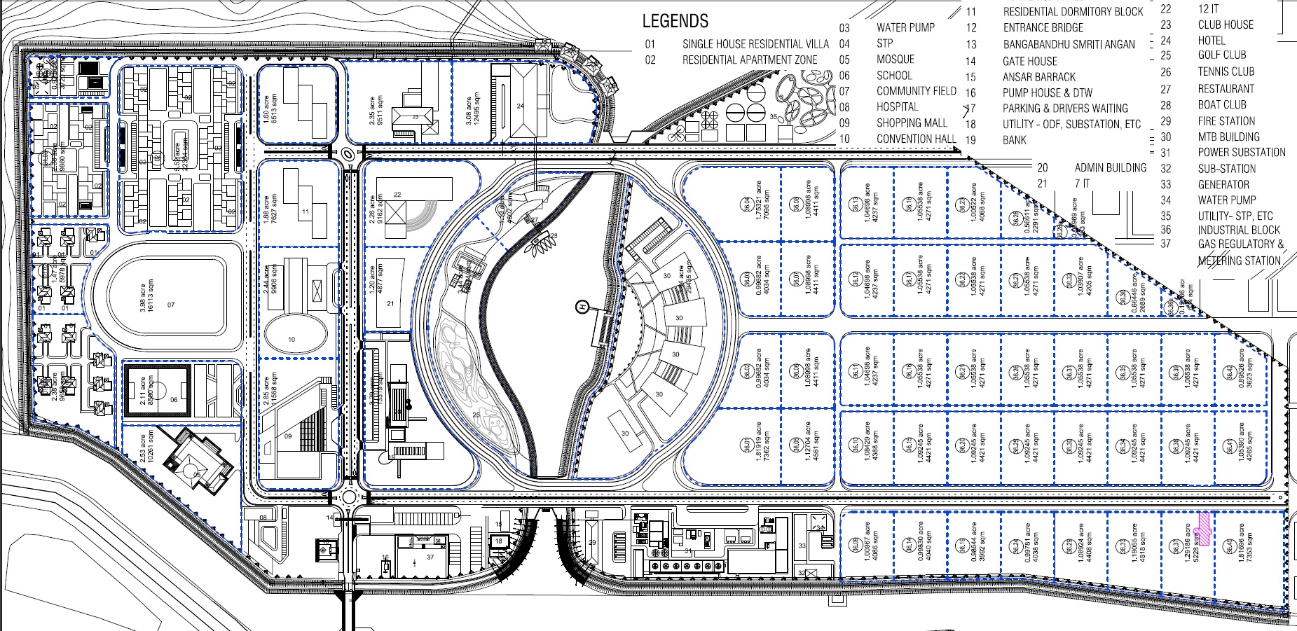
মাস্টার প্লান (প্লট)
![]() | ![]() |
| মাস্টার প্লান | ভুমি উন্নায়ন |
![]() | ![]() |
| Admin Building | |
![]() | ![]() |
| ব্রীজ | ব্রীজ |
![]() | ![]() |
| অভ্যন্তরীণ রাস্তা | |
![]() | ![]() |
| ইউটিলিটি ভবন | গভীর নলকুপ |
![]() | ![]() |
| ৩৩ কেভিএ লাইন, ১০ মেগাওয়াট ক্ষমতা সম্পন্ন সাব স্টেশন | ৩৩ কেভিএ লাইন, ১০ মেগাওয়াট ক্ষমতা সম্পন্ন সাব স্টেশন |
![]() | |
| গ্যস ষ্টেশন (২০ মিলিয়ন ঘনফূট/প্রতিদিন) | |
![]() | |
| সাইট অফিস | |
![]() | ![]() |
| বাধ উন্নায়ন | ব্লক ও নিরাপত্তা বেষ্টনী |
প্রকল্প বাস্তবায়ন সম্পর্কিত তথ্যঃ
| ১। | বিভাগের নাম | : | তথ্য ও যোগাযোগ প্রযুক্তি বিভাগ |
| ২। | বাস্তবায়নকারী সংস্থা | : | বাংলাদেশ হাই-টেক পার্ক কর্তৃপক্ষ |
| ৩। | প্রকল্পের নাম | : | হাই-টেক পার্ক, সিলেট এর প্রাথমিক অবকাঠামো নির্মাণ ’’ শীর্ষক প্রকল্প |
| ৪। | বাস্তবায়ন কাল | : | জানুয়ারি ২০১৬ থেকে জুন ২০২৩ ( বর্তমানে বাস্তবায়িত) |
| ৫। | প্রকল্প এলাকা | : | জেলা: সিলেট, উপজেলা: কোম্পানীগঞ্জ, মৌজা: খলিতাজুরি বিলেরপাড়; |
| ৬। | ব্যয় (লক্ষ টাকায়) | : | ৩২৪১৮.৫৬ (লক্ষ টাকা) |
| ৭। | অর্থের অৎস | : | GOB |
| ৮। | প্রকল্পের প্রধান উদ্দেশ্য |
| |
| ৯। | প্রকল্পের আওতায় গৃহীতব্য কার্যাবলী/ প্রধান প্রধান অঙ্গের বিবরণ | : |
|